Bouwgrond met voorwaardelijke verkaveling voor 2 open bebouwingen te Mol
€ 439 000
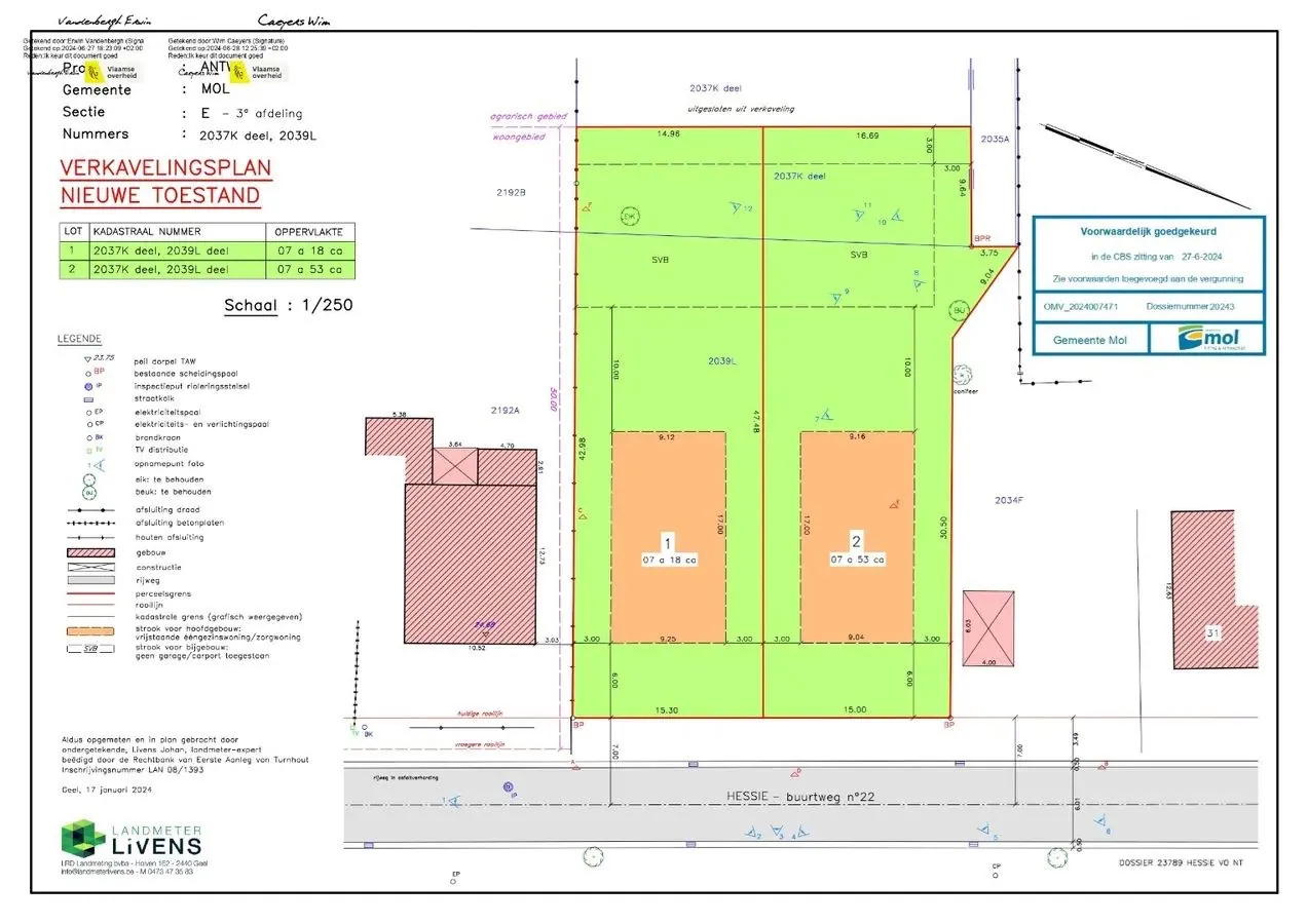
Dit ruime perceel is gunstig gelegen in de Hessie te Mol en omvat de voorste grond rond de hoeve en het achterliggende bos, wat zorgt voor extra privacy en een natuurlijke omgeving. Dankzij de voorwaardelijk goedgekeurde verkaveling kan het perceel worden opgesplitst in twee bouwgronden voor open bebouwing. De locatie combineert rust en groen met vlotte bereikbaarheid van alle voorzieningen zoals winkels, scholen en openbaar vervoer.
Beschrijving:
- Perceel met voorwaardelijk goedgekeurde verkaveling voor 2 bouwgronden (lot 1: 7a 18ca en lot 2: 7a 53ca)
- Open bebouwingen
- Totaaloppervlakte: 2.316 m² (inclusief achterliggend bos, agrarisch gebied, en exclusief optionele landbouwgrond)
- Bestemming: woongebied (eerste 47 meter), daarna agrarisch gebied
- Optioneel: achterliggende landbouwgrond van 24a 24ca kan bijkomend worden aangekocht voor €15.000, met extra mogelijkheden, bijvoorbeeld voor het houden van dieren zoals paarden
Renovatieverplichting residentiële gebouwen van toepassing. Meer info: https://energiesparen.be/renovatieverplichting.
Voor meer info of een bezoek contacteer ons via info@vastengoed.be of via 014/72 73 74.
Wenst u een gratis schatting van uw eigendom? Contacteer ons via 014/72 73 74.
Algemeen
| Adres: | Hessie 29 Mol |
| Referentie: | V&G/G/5265 |
| Vraagprijs: | € 439.000 |
| Type: | Grond |
| Beschikbaar vanaf: | Bij akte |
| Ligging: | Aan rustige weg, Gemeente |
| Perceeloppervlakte: | 2.316 m² |
| Perceelbreedte: | 31 m |
| Perceeldiepte: | 82 m |
| Type constructie: | Traditioneel |
| Bouwjaar: | 1934 |
| Algemene staat: | Te renoveren |
Indeling
| Tuin: | Ja |
| Tuin oriëntatie: | Zuid-West |
| Parking: | Ja |
| Parking Types: | Privé |
Comfort
| Treinstation: | Ja - op 4000 m tot 5000 m |
| School: | Ja - op 1500 m tot 2000 m |
| Ontspanning: | Ja - op minder dan 500 m |
| Restaurant: | Ja - op 1500 m tot 2000 m |
| Raamwerk: | Hout |
| Dak: | Zadeldak |
| Dakbedekking: | Dakpannen |
| Gevel: | Baksteen |
| Fundering: | In volle grond |
| Beglazing: | Enkel |
Wettelijke gegevens
| Niet geïndexeerd K.I.: | € 431 |
| Kadastrale Oppervlakte: | 2.316 m² |
| EPC Certificaat Nr.: | 20250118-0003507991-RES-1 |
| EPC Index: | 1624,00 kWh/(m² jaar) |
| EnergyClass: | F |
| Stedenbouwkundige vergunning: | Neen |
| Voorkooprecht: | Neen |
| Verkavelingsvergunning van toepassing: | Ja |
| Stedenbouwkundige bestemming: | Woongebied |
| Dagvaarding en herstelvordering: | Geen rechterlijke herstelmaatregel of bestuurlijke maatregel opgelegd |
| Overstromingsgevoelig: | Geen overstromingsgevoelig gebied |
| Overstromingsgebied: | Geen afgebakende zones |
| Overstromingskans perceel (P-score): | A |
| Overstromingskans gebouw (G-score): | A |
| Erfgoed: | Geen beschermd erfgoed |
| Deze eigendom kan onderhevig zijn aan de renovatieverplichting die door de Vlaamse overheid wordt opgelegd voor residentiële gebouwen. Consulteer voor meer informatie de website van het Vlaams Energie- en Klimaatagentschap via https://www.vlaanderen.be/een-woning-kopen/renovatieverplichting-voor-residentiele-gebouwen | |