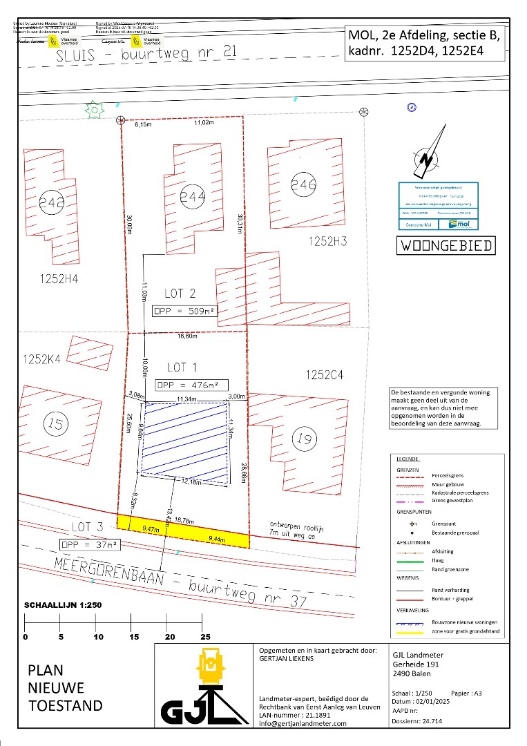
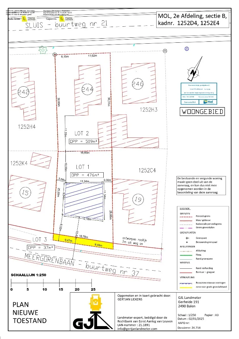
Bouwgrond van 4a 76ca voor open bebouwing in Mol-Sluis
Mol
Meergorenbaan
17
€ 169 000
Deze bouwgrond van 476 m² is rustig gelegen in de Meergorenbaan te Mol-Sluis. Alle voorzieningen, zoals winkels, horeca, scholen en openbaar vervoer, bevinden zich op wandelafstand. Bovendien zijn zowel de woning als de omliggende gemeenten goed bereikbaar via de nabijgelegen Zuiderring (N71), N18 en N103.
Beschrijving:
- Open bebouwing
- Oppervlakte: 476 m²
- Bestemming: woongebied
- Lot 1 op het opmetingsplan
Voor meer informatie en de bouwvoorschriften contacteer ons via info@vastengoed.be of 014/72.73.74.
Wenst u een gratis schatting van uw eigendom? Contacteer ons vrijblijvend voor een afspraak!
Algemeen
| Adres: | Meergorenbaan 17 Mol |
| Referentie: | V&G/G/5183 |
| Vraagprijs: | € 169.000 |
| Type: | Grond |
| Beschikbaar vanaf: | Bij akte |
| Ligging: | Aan rustige weg, Gemeente |
| Perceeloppervlakte: | 476 m² |
| Perceelbreedte: | 19 m |
| Perceeldiepte: | 29 m |
| Type constructie: | Traditioneel |
Comfort
| Treinstation: | Ja - op 3000 m tot 4000 m |
| Bushalte: | Ja - op minder dan 500 m |
| Winkel: | Ja - op 1000 m tot 1500 m |
| School: | Ja - op 500 m tot 1000 m |
| Bank: | Ja - op 1500 m tot 2000 m |
| Ontspanning: | Ja - op 500 m tot 1000 m |
| Restaurant: | Ja - op 500 m tot 1000 m |
Wettelijke gegevens
| Kadastrale Oppervlakte: | 476 m² |
| Stedenbouwkundige vergunning: | Neen |
| Voorkooprecht: | Neen |
| Verkavelingsvergunning van toepassing: | Ja |
| Stedenbouwkundige bestemming: | Woongebied |
| Dagvaarding en herstelvordering: | Geen rechterlijke herstelmaatregel of bestuurlijke maatregel opgelegd |
| Overstromingsgevoelig: | Geen overstromingsgevoelig gebied |
| Overstromingsgebied: | Geen afgebakende zones |
| Overstromingskans perceel (P-score): | B |
| Erfgoed: | Geen beschermd erfgoed |
Ik wens meer informatie over volgend pand:
Mol
Meergorenbaan
17
€ 169 000
Vertel een vriend
Mol
Meergorenbaan
17
€ 169 000
Plan uw bezoek
Mol
Meergorenbaan
17