Deze te renoveren, karaktervolle hoeve op een perceel bestaande uit de voorliggende grond en een achterliggend bos, rustig gelegen in de Hessie te Mol, biedt ontzettend veel mogelijkheden voor wie op zoek is naar ruimte, rust en potentieel. Alle dagdagelijkse voorzieningen bevinden zich bovendien in de nabije omgeving.

Indeling:
Het huidige woongedeelte omvat ongeveer 150 m² en bestaat uit een woonkamer, een eetkamer, een berging, een gelijkvloerse slaapkamer, twee slaapkamers op de verdieping en een aparte zolderruimte. Daarnaast zijn er twee grote open ruimtes die vroeger dienst deden als stallen en opslag, samen goed voor 146 m², met daarboven nog een bijkomende zolder van 60 m². De hoeve, daterend uit 1934, ademt authenticiteit en charme uit en biedt talloze mogelijkheden voor renovatie en herinrichting.

Buitenruimte:
Het perceel omvat de voorste grond rond de hoeve en een achterliggend bos, dat eveneens in agrarisch gebied ligt. Dit bos zorgt voor extra privacy, een natuurlijke omgeving en een rustige groene buffer achter de woning.
Voor wie nog meer ruimte wenst, kan het achterliggende landbouwperceel van 24a 24ca optioneel worden aangekocht voor €15.000, wat bijkomende mogelijkheden biedt voor bijvoorbeeld het houden van dieren zoals paarden.

Troeven:
- Enorm veel potentieel
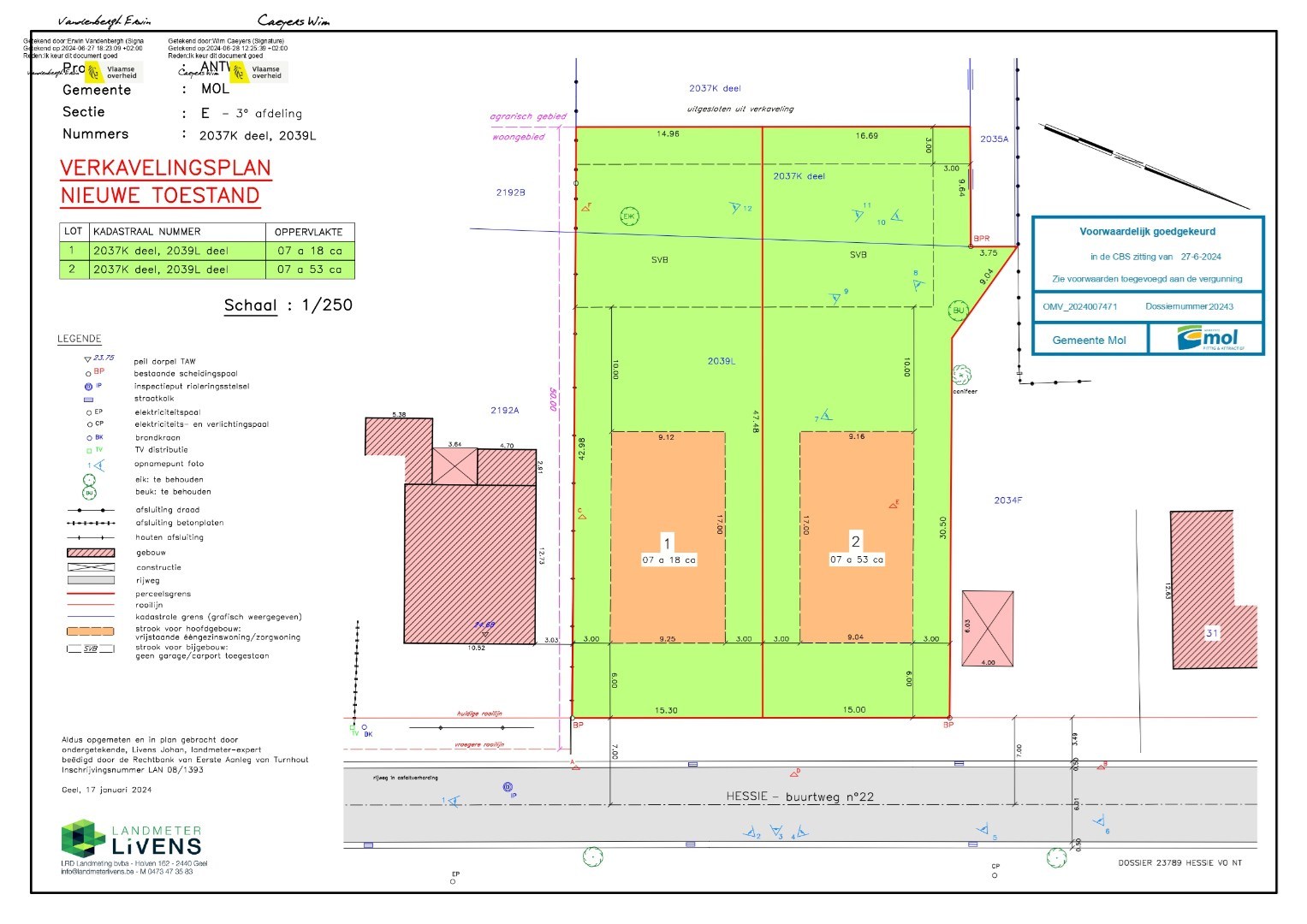
- Beschikbare, voorwaardelijk goedgekeurde verkavelingsvergunning voor opsplitsing naar twee bouwgronden voor open bebouwing
- Zeer ruime woning met tal van mogelijkheden
- Inclusief achterliggend bos (agrarisch gebied)
- Optioneel extra landbouwperceel van 24a 24ca voor €15.000
- Ideaal voor dieren- en paardenliefhebbers
- Rustige, landelijke ligging

Renovatieverplichting residentiële gebouwen van toepassing. Meer info: https://energiesparen.be/renovatieverplichting.

Voor meer info of een bezoek contacteer ons via info@vastengoed.be of via 014/72 73 74.

Wenst u een gratis schatting van uw eigendom? Contacteer ons via 014/72 73 74.

Woonopp.
150 m²
Slaapkamers
3
Tuin
Ja

Algemeen

Adres:Hessie 29
Mol
Referentie:V&G/G/5265
Vraagprijs:€ 429.000
Type:Boerderij
Beschikbaar vanaf:Bij akte
Ligging:Aan rustige weg, Gemeente
Perceeloppervlakte:2.316 m²
Perceelbreedte:31 m
Perceeldiepte:82 m
Bewoonbare opp.:150 m²
Type constructie:Traditioneel
Bouwjaar:1934
Gevelbreedte:26 m
Algemene staat:Te renoveren

Indeling

Slaapkamers:3 (16 m², 11 m², 10 m²)
Badkamers:Ja
Woonkamer:19 m²
Zolder:Ja
Kelder:14 m²
Tuin:Ja
Tuin oriëntatie:Zuid-West
Parking:Ja
Parking Types:Privé

Comfort

Treinstation:Ja - op 4000 m tot 5000 m
School:Ja - op 1500 m tot 2000 m
Ontspanning:Ja - op minder dan 500 m
Restaurant:Ja - op 1500 m tot 2000 m
Raamwerk:Hout
Dak:Zadeldak
Dakbedekking:Dakpannen
Gevel:Baksteen
Fundering:In volle grond
Beglazing:Enkel

Wettelijke gegevens

Niet geïndexeerd K.I.:€ 431
Kadastrale Oppervlakte:2.316 m²
EPC Certificaat Nr.:20250118-0003507991-RES-1
EPC Index:1624,00 kWh/(m² jaar)
EnergyClass:F
Stedenbouwkundige vergunning:Neen
Voorkooprecht:Neen
Verkavelingsvergunning van toepassing:Ja
Stedenbouwkundige bestemming:Woongebied
Dagvaarding en herstelvordering:Geen rechterlijke herstelmaatregel of bestuurlijke maatregel opgelegd
Overstromingsgevoelig:Geen overstromingsgevoelig gebied
Overstromingsgebied:Geen afgebakende zones
Overstromingskans perceel (P-score):A
Overstromingskans gebouw (G-score):A
Erfgoed:Geen beschermd erfgoed
Deze eigendom kan onderhevig zijn aan de renovatieverplichting die door de Vlaamse overheid wordt opgelegd voor residentiële gebouwen. Consulteer voor meer informatie de website van het Vlaams Energie- en Klimaatagentschap via https://www.vlaanderen.be/een-woning-kopen/renovatieverplichting-voor-residentiele-gebouwen
Mol
Hessie 29

€ 429 000


U moet akkoord gaan met het privacybeleid van deze website
* Verplicht in te vullen
** Eén van deze velden is verplicht in te vullen
Mol
Hessie 29

€ 429 000

Mol
Hessie 29

€ 429 000