Te renoveren hoeve op 47a 40ca in een rustige omgeving te Mol
€ 439 000
Deze te renoveren, karaktervolle hoeve op een totaalperceel van 47a 40ca, rustig gelegen in de Hessie te Mol, biedt ontzettend veel mogelijkheden voor wie op zoek is naar ruimte, rust en potentieel. Alle dagdagelijkse voorzieningen bevinden zich bovendien in de nabije omgeving.
Indeling:
Het huidige woongedeelte omvat ongeveer 150 m² en bestaat uit een woonkamer, een eetkamer, een berging, een gelijkvloerse slaapkamer, twee slaapkamers op de verdieping en een aparte zolderruimte. Daarnaast zijn er twee grote open ruimtes die vroeger dienst deden als stallen en opslag, samen goed voor 146 m², met daarboven nog een bijkomende zolder van 60 m². De hoeve, daterend uit 1934, ademt authenticiteit en charme uit en biedt talloze mogelijkheden voor renovatie en herinrichting.
Buitenruimte:
Het volledige perceel van 47a 40ca bestaat uit de voorste grond rond de hoeve, een achterliggend bos én een bijkomend landbouwperceel, beiden gelegen in agrarisch gebied. Dit zorgt niet alleen voor een natuurlijke en rustige omgeving, maar biedt ook interessante mogelijkheden voor wie dieren wil houden, zoals paarden, of graag geniet van een groene en vrije buitenruimte.
Troeven:
- Enorm veel potentieel
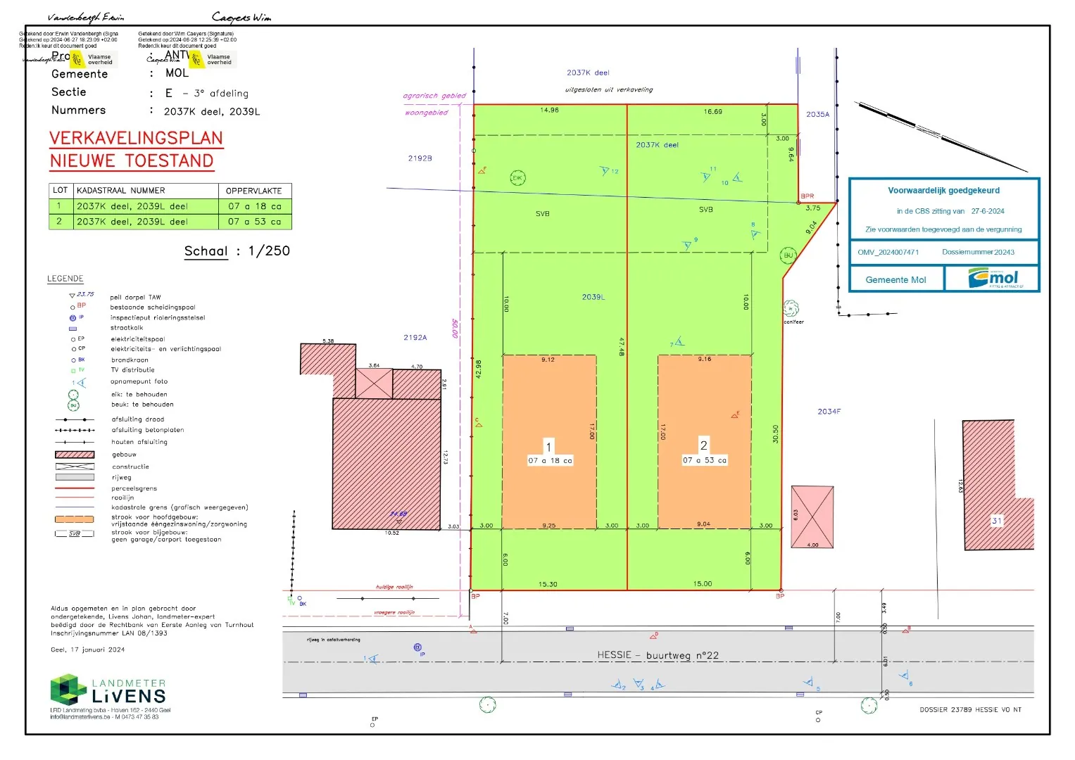
- Beschikbare, voorwaardelijk goedgekeurde verkavelingsvergunning voor opsplitsing naar twee bouwgronden voor open bebouwing
- Zeer ruime woning met tal van mogelijkheden
- Inclusief achterliggend bos en landbouwperceel (beiden in agrarisch gebied)
- Ideaal voor dieren- en paardenliefhebbers
- Rustige, landelijke ligging
Renovatieverplichting residentiële gebouwen van toepassing. Meer info: https://energiesparen.be/renovatieverplichting.
Voor meer info of een bezoek contacteer ons via info@vastengoed.be of via 014/72 73 74.
Wenst u een gratis schatting van uw eigendom? Contacteer ons via 014/72 73 74.
Algemeen
| Adres: | Hessie 29 Mol |
| Referentie: | V&G/G/5265 |
| Vraagprijs: | € 439.000 |
| Type: | Boerderij |
| Beschikbaar vanaf: | Bij akte |
| Ligging: | Aan rustige weg, Gemeente |
| Perceeloppervlakte: | 4.740 m² |
| Perceelbreedte: | 31 m |
| Perceeldiepte: | 170 m |
| Bewoonbare opp.: | 150 m² |
| Type constructie: | Traditioneel |
| Bouwjaar: | 1934 |
| Gevelbreedte: | 26 m |
| Algemene staat: | Te renoveren |
Indeling
| Slaapkamers: | 3 (16 m², 11 m², 10 m²) |
| Badkamers: | Ja |
| Woonkamer: | 19 m² |
| Zolder: | Ja |
| Kelder: | 14 m² |
| Tuin: | Ja |
| Tuin oriëntatie: | Zuid-West |
| Parking: | Ja |
| Parking Types: | Privé |
Comfort
| Treinstation: | Ja - op 4000 m tot 5000 m |
| School: | Ja - op 1500 m tot 2000 m |
| Ontspanning: | Ja - op minder dan 500 m |
| Restaurant: | Ja - op 1500 m tot 2000 m |
| Raamwerk: | Hout |
| Dak: | Zadeldak |
| Dakbedekking: | Dakpannen |
| Gevel: | Baksteen |
| Fundering: | In volle grond |
| Beglazing: | Enkel |
Wettelijke gegevens
| Niet geïndexeerd K.I.: | € 435 |
| Kadastrale Oppervlakte: | 4.740 m² |
| EPC Certificaat Nr.: | 20250118-0003507991-RES-1 |
| EPC Index: | 1624,00 kWh/(m² jaar) |
| EnergyClass: | F |
| Stedenbouwkundige vergunning: | Neen |
| Voorkooprecht: | Neen |
| Verkavelingsvergunning van toepassing: | Ja |
| Stedenbouwkundige bestemming: | Woongebied |
| Dagvaarding en herstelvordering: | Geen rechterlijke herstelmaatregel of bestuurlijke maatregel opgelegd |
| Overstromingsgevoelig: | Geen overstromingsgevoelig gebied |
| Overstromingsgebied: | Geen afgebakende zones |
| Overstromingskans perceel (P-score): | A |
| Overstromingskans gebouw (G-score): | A |
| Erfgoed: | Geen beschermd erfgoed |
| Deze eigendom kan onderhevig zijn aan de renovatieverplichting die door de Vlaamse overheid wordt opgelegd voor residentiële gebouwen. Consulteer voor meer informatie de website van het Vlaams Energie- en Klimaatagentschap via https://www.vlaanderen.be/een-woning-kopen/renovatieverplichting-voor-residentiele-gebouwen | |